
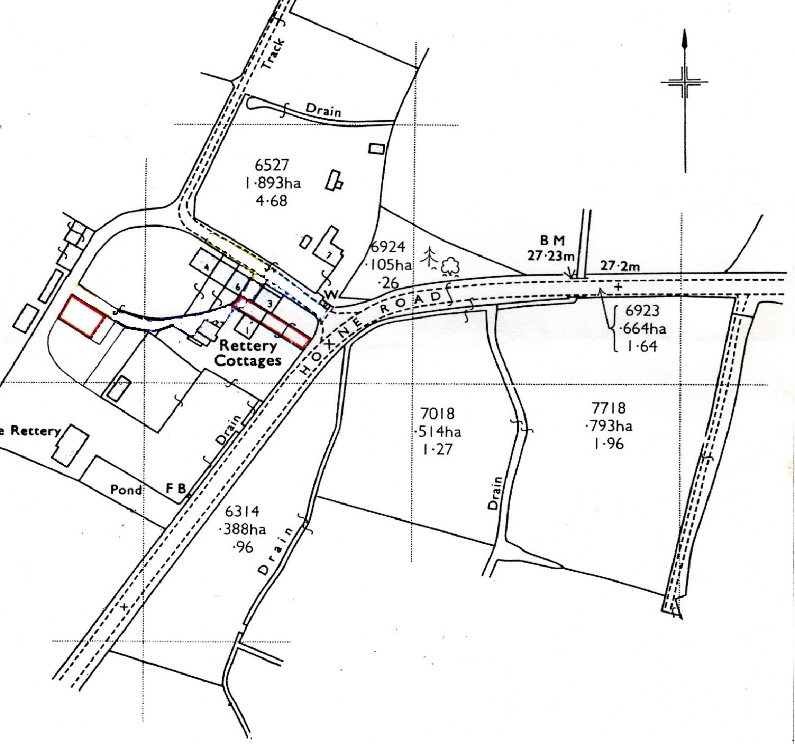
Rettery Cottages, Hoxne Road, Eye, Suffolk, IP23 7NJ
Contact Us
Eye
5 Castle Street
Eye
Suffolk
IP23 7AN
Tel: 01379 871 563
property@harrisonedge.com
Property Summary
Property Details
Rettery Cottages were built in 1862 by local landowner and benefactor Sir Edward Kerrison as a result of his Flax Works, situated on land between the current Fire Station and the river, being destroyed by fire. As a large producer of flax on surrounding land Sir Edward urgently required replacement buildings to continue the process of retting the flax and to produce the various by products. The new buildings only lasted to 1874 when the market for flax products declined. The consequent conversion of the buildings created character cottages of which No 2 forms a central part. Furthermore, in addition to the 'front' garden, No 2 as with the neighbours, has a sizeable additional piece of land along the footpath at the rear. This delightful and imaginatively converted cottage provides good living space, character structural details and great style. On an everyday basis the property is approached from the far side, along a gravel driveway and grassy path, allowing the garden to the front to be regarded as the 'back' garden benefitting from a sunny southerly aspect and a view across meadows beyond the road. Internally, the cottage is fortunate to have both a long main reception room plus separate dining room in addition to a first floor shower room, formerly a bathroom. The first floor is especially interesting due to the vaulted structure of the roof along with the split landing and stairs. The current owner, having purchased the property via Harrison Edge in 2014 has rebuilt the Conservatory/Rear Porch in addition to a number of other enhancements.
Sitting Room 6.78m x 3.05m
Running the depth of the cottage, this main reception room has twin exposed red brick chimney breasts including one working fireplace complete with flat topped wood burning stove set on a slate hearth. A fabulous solid woodblock floor extends throughout and natural light is provided through a PVCu double glazed window to the front elevation and a further window to the rear conservatory. A pine topped window seat sits beneath the front window. Furthermore, open stud work has been created between the sitting room and kitchen and a fine reclamation pitch pine door complete with ornate brass and porcelain handle, to the inner hall and stairwell. A stable type door opens to the garden and terrace, being a most appealing, sheltered al fresco dining space. Electric panel heater. Three wall light points plus pendant fitting.
Dining Room 4m x 2.06m
Double, partly glazed reclamation doors lead from the kitchen to a good sized second reception room featuring the aforementioned woodblock floor, tongue & groove panelling to dado height along with a cottage casement window to the rear. An interesting feature is the detail of brickwork at ceiling height.
Kitchen 3.18m x 2.57m
Fitted with units around two walls incorporating worktops across base cupboard and drawer storage options including pan drawers, stainless steel sink unit with mixer tap, plumbing for washing machine and space for a second appliance such as a dishwasher. Electric cooker point, Double wall cupboard. Deep understairs storage cupboard. Continuation of woodblock flooring. A PVCu double glazed window provides an outlook to the garden at the front (or rear depending on how one considers it). Mosaic tiled splashbacks.
Conservatory/Rear Porch 6.25m x 1.27m widens to 1.9m
Of reclaimed red brick construction with PVCu upper framework and polycarbonate roof and outer door serving as a versatile space and acts as the 'everyday' entrance.
Inner Hall & Stairwell
Separated from the main living space, stairs rise to an initial half landing thereafter continuing in two directions. The tall vaulted roof illustrates a number of structural timbers and a ground floor window provides natural light along with a velux.
First Floor Landings
Latch doors lead off to...
Bedroom 1 3.73m x 10
Featuring a dormer PVCu window to the front elevation with a view across the garden to the meadows beyond the road. Exposed structural timbers, built in cupboards including airing cupboard with hot water storage tank with immersion heater. Chimney breast. Access to loft space. Telephone point.
Bedroom 2/Dressing Room 3.1m x 2.6m6max
With PVCu dormer window to the front elevation with corresponding view. Telephone point. Exposed structural timbers and door connecting with...
Bedroom 3 4.04m x 2.06m
Complete with built in wardrobe and velux window at the rear.
Shower Room (formerly Bathroom)
A good shape and size (the current owner able to accommodate a chair and cupboard furniture). Formerly with a bath, the current owner switched to a shower enclosure fitted with Bristan shower unit. Low level wc and pedestal wash basin to match. Dimplex fan heater, velux window and exposed timbers.
Outside
One of the many beauties of this property is that not only is there an extremely likeable garden with the living space but also an additional piece of land to the rear where one can tuck oneself away. The 'cottage' garden enjoys a south easterly aspect and a view across meadows lying beyond the Hoxne Road. A brick terrace is laid to the front enabling al fresco dining and sheltered sun spot. The garden extends away to the front boundary and a garden shed. The pathway at the rear, serving No.2 and neighbouring properties, leads up to an additional area of land used as garden and which is a delightful oasis of calm. Comes complete with Summer House, Greenhouse and further shed.
Services
The vendor has confirmed that the property benefits from mains water, electricity and private drainage.
Wayleaves & Easements
The property is sold subject to and with all the benefit of all wayleaves, covenants, easements and rights of way whether or not disclosed in these particulars.
Important Notice
These particulars do not form part of any offer or contract and should not be relied upon as statements or representations of fact. Harrison Edge has no authority to make or give in writing or verbally any representations or warranties in relation to the property. Any areas, measurements or distances are approximate. The text, photographs and plans are for guidance only and are not necessarily comprehensive. No assumptions should be made that the property has all the necessary planning, building regulation or other consents. Harrison Edge have not carried out a survey, nor tested the services, appliances or facilities. Purchasers must satisfy themselves by inspection or otherwise. In the interest of Health & Safety, please ensure that you take due care when inspecting any property.
Postal Address
2 Rettery Cottages, Hoxne Road, Eye, IP23 7NJ
Local Authority
Mid Suffolk District Council, Endeavour House, 8 Russell Road, Ipswich IP1 2BX. Telephone:+44 (0) 300 123 4000
Council Tax
The property has been placed in Tax Band C.
Tenure & Possession
The property is for sale freehold with vacant possession upon completion.
Fixtures & Fittings
All items normally designated as tenants fixtures & fittings are specifically excluded from the sale unless mentioned in these particulars.
Viewing
By prior telephone appointment with the vendors' agent Harrison Edge T: +44 (0)1379 871 563









































































